Israelsk UD reagerer kraftig på at Jonas Gahr Støre valgte å delta på krystallnattmarkeringen arrangert av Antirasistisk senter istedet for å delta med det mosaiske trossamfunn.
9. nov 19:51 Israelsk UD reagerer kraftig på at Jonas Gahr Støre valgte å delta på krystallnattmarkeringen arrangert av Antirasistisk senter istedet for å delta med det mosaiske trossamfunn. (NRK 28b)
I en melding på X skriver det israelske utenriksdepartementet at Norges statsminister har satt en ny «bunnstandard» for moralsk nedrighet, anti-israelske holdninger og antisemittisme». Israelsk UD reagerer kraftig på at Jonas Gahr Støre valgte å delta på krystallnattmarkeringen arrangert av Antirasistisk senter i stdet for å delta i sarrangementet i synagogen sammen med det mosaiske trossamfunn. Statssekretær Kristoffer Thoner (Ap) tar avstand fra Israels uttalelser. – Påstandene er uriktige og urimelige. Statsminister Jonas Gahr Støre og regjeringen er konsekvent og tydelig opptatt av å bekjempe antisemittisme i alle former. Det understreket også statsministeren i sin appell på Eidsvolls plass i Oslo i kveld. Alle jøder skal være trygge i Norge, sier Thoner i en e-post til NRK. Israels utenriksminister Gideon Saar:
9. nov 19:20 I en melding på X skriver det israelske utenriksdepartementet at Norges statsminister har satt en ny «bunnstandard» for moralsk nedrighet, anti-israelske holdninger og antisemittisme». Israelsk UD... (NRK 28b)
Vi jakter på det perfekte forholdet, men bygger forventninger på virtuelle illusjoner.
9. nov 19:06 Vi jakter på det perfekte forholdet, men bygger forventninger på virtuelle illusjoner. (NRK 28b)
Først misbrukte han muligheten fra elleve meter - så tok den norske superstjernen et nytt steg mot nok en rekord.
9. nov 18:27 Først misbrukte han muligheten fra elleve meter - så tok den norske superstjernen et nytt steg mot nok en rekord. (NRK 28b)
BBCs kringkastingssjef Tim Davie og nyhetsdirektør Deborah Turness trekker seg etter omstridt Trump-dokumentar.
9. nov 18:11 BBCs kringkastingssjef Tim Davie og nyhetsdirektør Deborah Turness trekker seg etter omstridt Trump-dokumentar. (NRK 28b)
BBCs kringkastingssjef Tim Davie og nyhetsdirektør Deborah Turness trekker seg etter massiv kritikk for omstridt Trump-dokumentar. BBC Panoramas fremstilling av president Donald Trumps tale 6. januar 2021 har vakt kraftige reaksjoner. I talen sier Trump: «Vi skal gå ned til Capitol, og vi skal heie på våre modige senatorer og kongressmedlemmer og -kvinner.» I det redigerte klippet i BBCs dokumentar heter det: «Vi skal gå ned til Capitol og jeg vil være der med dere, og vi kjemper. Vi kjemper som bare faen.» Saken eksploderte etter at Telegraph publiserte detaljer fra et internt notat fra varsleren Michael Prescott som kritiserte det han mente var en uredelig fremstilling av Trumps tale.
9. nov 18:05 BBCs kringkastingssjef Tim Davie og nyhetsdirektør Deborah Turness trekker seg etter massiv kritikk for omstridt Trump-dokumentar. BBC Panoramas fremstilling av president Donald Trumps tale 6.... (NRK 28b)
En mann har blitt utsatt for vold i Sarpsborg sentrum etter en markering for Krystallnatten. Det melder politiet via politiloggen. Selve markeringen gikk fredelig for seg, men etter den var ferdig gikk flere av deltakerne gjennom Sarpsborg sentrum med et Israelsk flagg. To menn skal ha slått og sparket bæreren av flagget og kastet skjellsord mot vedkommende, skriver politiet videre. Mannen som ble utsatt for vold skal kun ha fått lettere skader. Politiet har snakket med fornærmede og vitner, og forteller at de kjenner til identiteten til gjerningspersonene.
9. nov 17:58 En mann har blitt utsatt for vold i Sarpsborg sentrum etter en markering for Krystallnatten. Det melder politiet via politiloggen. Selve markeringen gikk fredelig for seg, men etter den var ferdig... (NRK)
9. nov 17:35 (NRK 28b)
Et slitent og gammelt tømmerhus i Tromsø sentrum skaper debatt. Nå kartlegges bygninger over hele Nord-Norge for å finne ut hva som egentlig kjennetegner den kvenske byggeskikken.
9. nov 16:34 Et slitent og gammelt tømmerhus i Tromsø sentrum skaper debatt. Nå kartlegges bygninger over hele Nord-Norge for å finne ut hva som egentlig kjennetegner den kvenske byggeskikken. (NRK 28b)
Den velkledde mannen gikk viralt da han tilfeldigvis ble avbildet mens AP sin fotograf dokumenterte åstedet for Louvre-ranet. I etterkant har spekulasjonene rast på nettet: Er han KI-generert, medvirkende til ranet eller en klassisk detektiv? Mannen har ventet med å gi seg til kjennne, frem til nå. 15 år gamle Pedro Elias Garzon Delvaux sier i et intervju med AP søndag at han ganske enkelt var til stede for å besøke museet den dagen. Han forstår at folk har projisert en karakter på ham, med mesterdetektiven «Poirot» som en gjenganger. – Når noe uvanlig skjer, forestiller man seg ingen normal detektiv. Man forestiller seg noe uvanlig, sier Delvaux.
9. nov 15:56 Den velkledde mannen gikk viralt da han tilfeldigvis ble avbildet mens AP sin fotograf dokumenterte åstedet for Louvre-ranet. I etterkant har spekulasjonene rast på nettet: Er han KI-generert,... (NRK 28b)
I to år var smertene i magen ekstreme. Ved en tilfeldighet fikk han hjelp av leger i Tromsø. Men hjelpen de tilbyr, er omstridt, og nå tilbudet avviklet.
9. nov 15:44 I to år var smertene i magen ekstreme. Ved en tilfeldighet fikk han hjelp av leger i Tromsø. Men hjelpen de tilbyr, er omstridt, og nå tilbudet avviklet. (NRK 28b)
Kunstner Vibeke Harper vokste opp med å boikotte Tyrkia for undertrykkelsen av kurdere. I helgen sto hun sammen med president Erdoğan og lot ham delta i kunstverket sitt.
9. nov 15:39 Kunstner Vibeke Harper vokste opp med å boikotte Tyrkia for undertrykkelsen av kurdere. I helgen sto hun sammen med president Erdoğan og lot ham delta i kunstverket sitt. (NRK 28b)
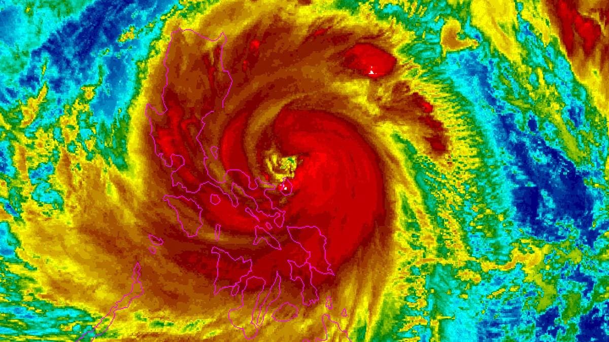
Supertyfonen Fung-wong har nådd land på Filippinene, melder den nasjonale værmeldingstjenesten, ifølge Reuters. Tyfonen nådde først Aurora-provinsen på Luzon-øyens østvendte kyststripe klokken 14.10 norsk tid. Nærmere en million filippinere har evakuert hjemmene sine i påvente av det som blir den andre tyfonen som herjer landet i løpet av en uke. Minst to personer er døde på grunn av tyfonen, ifølge landets myndigheter. Det er bare dager siden tyfonen Kalmaegi raste i Sørøst-Asia, som skapte store ødeleggelser og kostet over 200 personer livet på Filipppinene.
9. nov 14:45 Supertyfonen Fung-wong har nådd land på Filippinene, melder den nasjonale værmeldingstjenesten, ifølge Reuters. Tyfonen nådde først Aurora-provinsen på Luzon-øyens østvendte kyststripe klokken... (NRK 28b)
Landslagsspiller Andreas Schjelderup har innrømmet ulovlig videodeling. Ansvaret for det skal han ta i rettssalen i København, ikke på Ullevaal-gresset.
9. nov 14:03 Landslagsspiller Andreas Schjelderup har innrømmet ulovlig videodeling. Ansvaret for det skal han ta i rettssalen i København, ikke på Ullevaal-gresset. (NRK 28b)
I opp til to knopp strøm skal det grunnstøtte skipet i Tjeldsund i Sør-Troms mandag ettermiddag trekkes av grunn. En større andel av 25.000 liter med diesel om bord skal ha lekket ut.
9. nov 12:38 I opp til to knopp strøm skal det grunnstøtte skipet i Tjeldsund i Sør-Troms mandag ettermiddag trekkes av grunn. En større andel av 25.000 liter med diesel om bord skal ha lekket ut. (NRK 28b)
Han er kjent som en reality-personlighet, men nå stiller han seg på barrikadene for de eldre.
9. nov 11:44 Han er kjent som en reality-personlighet, men nå stiller han seg på barrikadene for de eldre. (NRK 28b)
Politiet har opprettet sak på overtredelse brann- og eksplosjonsvernloven etter at politiets forsegling av døren til festlokalet er brutt. Det opplyser politiadvokat Sofie Wirum Sæter til VG. – Politiet vil opprette sak på det. Det vil bli etterforsket, sier Sæter til avisa. Tre aktører har status som mistenkt i saken, fikk NRK opplyst søndag formiddag. Det var fredag kveld at ungdommer arrangerte en russefest med rundt 400 deltakere. Under og etter festen ble mange dårlige. Lørdag ble en rekke personer undersøkt for mulig kullosforgiftning.
9. nov 11:24 Politiet har opprettet sak på overtredelse brann- og eksplosjonsvernloven etter at politiets forsegling av døren til festlokalet er brutt. Det opplyser politiadvokat Sofie Wirum Sæter til VG. –... (NRK 28b)
Anders Baasmos karakter må gå i dekning etter å ha trollet på nett. Podkaster Wolfgang Wee mener alle menn har en «Tom» inni seg.
9. nov 10:47 Anders Baasmos karakter må gå i dekning etter å ha trollet på nett. Podkaster Wolfgang Wee mener alle menn har en «Tom» inni seg. (NRK 28b)
Niåringen og familien frå Gaza budde fleire månadar på mottak utan helsehjelp. Oslo kommune innrømmer glipp.
9. nov 10:47 Niåringen og familien frå Gaza budde fleire månadar på mottak utan helsehjelp. Oslo kommune innrømmer glipp. (NRK 28b)
Strekk ikkje tida til? Eller endar du berre opp på mobilen? Du er ikkje aleine.
9. nov 10:35 Strekk ikkje tida til? Eller endar du berre opp på mobilen? Du er ikkje aleine. (NRK 28b)
Utleier av lokalet, utleier av aggregatet og arrangøren har fått status som mistenkt. 51 ungdommer endte opp på sykehus og legevakt med kullosforgiftning etter festen.
9. nov 8:47 Utleier av lokalet, utleier av aggregatet og arrangøren har fått status som mistenkt. 51 ungdommer endte opp på sykehus og legevakt med kullosforgiftning etter festen. (NRK 28b)
Camilla Næsse seier det er utfordrande for butikktilsette å ha eit normalt familieliv. Handel og Kontor meiner opningstidene har est ut og vil ha ei lov som regulerer når butikkane må stenga.
9. nov 6:43 Camilla Næsse seier det er utfordrande for butikktilsette å ha eit normalt familieliv. Handel og Kontor meiner opningstidene har est ut og vil ha ei lov som regulerer når butikkane må stenga. (NRK 28b)
Formel 1-førarane reagerer på at samtaler dei har med laget sitt blir delt med TV-sjåarar verda rundt.
9. nov 6:42 Formel 1-førarane reagerer på at samtaler dei har med laget sitt blir delt med TV-sjåarar verda rundt. (NRK 28b)
To døde og 1,4 millioner er evakuert da tyfonen Fung-wong traff Filippinene.
9. nov 5:15 To døde og 1,4 millioner er evakuert da tyfonen Fung-wong traff Filippinene. (NRK 28b)
Ti personer ble skylt på havet i kystbyen Puerto de la Cruz, som ble hardest rammet av de kraftige bølgene, sier regionstyrets presseavdeling. En kvinne døde der av hjertestans. De ni andre – blant dem tre franske turister – ble frakta til sykehus, noen av dem med alvorlige skader, skriver NTB. AFP skriver at også om to andre dødsfall knyttet til store bølger lørdag. Det var utstedt farevarsel for store bølger lørdag, skriver Canarijournalen. Tenerife er den største av Kanariøyene.
8. nov 22:17 Ti personer ble skylt på havet i kystbyen Puerto de la Cruz, som ble hardest rammet av de kraftige bølgene, sier regionstyrets presseavdeling. En kvinne døde der av hjertestans. De ni andre –... (NRK)
Influenser Karen Elene Thorsen og familien trengte mer plass. Det 100 år gamle bedehuset ble plassert helt inntil huset deres.
8. nov 22:16 Influenser Karen Elene Thorsen og familien trengte mer plass. Det 100 år gamle bedehuset ble plassert helt inntil huset deres. (NRK 28b)
Serien har premiere søndag, men vinn allereie prisar: – Vi er utruleg glade, seier serieskapar.
8. nov 21:36 Serien har premiere søndag, men vinn allereie prisar: – Vi er utruleg glade, seier serieskapar. (NRK 28b)
Den norske landslagsspilleren forteller selv at han har blitt siktet for ulovlig videodeling.
8. nov 21:15 Den norske landslagsspilleren forteller selv at han har blitt siktet for ulovlig videodeling. (NRK 28b)
En gutt i tenårene er utsatt for vold og ranet ved Rødskog fotballbane i Drammen. – Han er til behandling på sykehus med mulige bruddskader, opplyser operasjonsleder Øystein Paus Eikedalen. Politiet fikk melding om hendelsen klokken 19.38. Det skal ha vært to maskerte personer som påført gutten vold, ifølge politiet. Han er fraranet sko. – Det var også vitner til hendelsen som er avhørt. Vi ser alvorlig på saken, og sak er opprettet.
8. nov 20:35 En gutt i tenårene er utsatt for vold og ranet ved Rødskog fotballbane i Drammen. – Han er til behandling på sykehus med mulige bruddskader, opplyser operasjonsleder Øystein Paus Eikedalen. ... (NRK)
Siden april har 13 personer blitt drept og over 100 skadet i bjørneangrep. – Hva er det som gjør at så mange bjørner har endra atferd, undrer norsk forsker.
8. nov 20:06 Siden april har 13 personer blitt drept og over 100 skadet i bjørneangrep. – Hva er det som gjør at så mange bjørner har endra atferd, undrer norsk forsker. (NRK 28b)
Politiet er på Etterstad i Oslo etter melding om tyveri hos en kvinne i 70-årene. – Vi er nettopp kommet til stedet og ser om vi kan innhente noen spor, opplyser operasjonsleder Roy Langengen. Kvinnen var ikke hjemme da tyveriet skjedde. Det er uklart hva tyvene har fått med seg. Fredag kveld ble 86 år gamle Edny ranet i sitt hjem på Ellingsrud. Politiet opplyste da at det hadde vært flere innbrudd hos eldre på Ekeberg og Lambertseter i samme tidsrom. Det er for tidlig å si om sakene har noen sammenheng.
8. nov 18:30 Politiet er på Etterstad i Oslo etter melding om tyveri hos en kvinne i 70-årene. – Vi er nettopp kommet til stedet og ser om vi kan innhente noen spor, opplyser operasjonsleder Roy Langengen. ... (NRK)
Svalbardposten melder at politiet har starta søk etter å ha fått melding om snøskred i Tverrdalen. – Alt av tilgjengelige ressurser har vært ute og søkt, opplyser sysselmesterførstebetjent Erlend Kofstad. Til NRK sier han at det ikke er noen som er savnet. De har ikke opplysninger om at noen kan være tatt, men de kan heller ikke utlelukke det. Sysselmesteren, brannvesenet, Røde Kors og Norske redningshunder bistår i søket. De har ikke fått melding om at noen er tatt, og det er observert spor på begge sider av skredet. Politiet ber nå folk som har vært på tur i området om å gi tilbakemelding om det, ifølge Svalbardposten. Sysselmesterførstebetjenten skal ha fått den første meldinga om skredet klokka 16.10. Klokka 17.45 var mannskaper fra Longyearbyen Røde Kors Hjelpekorps fremme på stedet. Det er mye vind i området. Svalbardposten melder at klokka 17 blåste det 11 sekundmeter ved Svalbard lufthavn, med kraftige vindkast. På Platåberget blåste det 19,1 sekundmeter, sterk kuling, vindkast på 23,7 sekundmeter, ifølge Yr. Det har også kommet snø det siste døgnet.
8. nov 17:49 Svalbardposten melder at politiet har starta søk etter å ha fått melding om snøskred i Tverrdalen. – Alt av tilgjengelige ressurser har vært ute og søkt, opplyser sysselmesterførstebetjent Erlend... (NRK 28b)
Foreldreskap har aldri vært ment som et prosjekt for to. Det er ikke rart at mange blir slitne.
8. nov 17:19 Foreldreskap har aldri vært ment som et prosjekt for to. Det er ikke rart at mange blir slitne. (NRK 28b)
Sj-uttale for kj-lyd er noe som kan irritere vettet av noen, mens andre ikke bryr seg. Men finnes det egentlig en fasit?
8. nov 16:20 Sj-uttale for kj-lyd er noe som kan irritere vettet av noen, mens andre ikke bryr seg. Men finnes det egentlig en fasit? (NRK 28b)
«Sjefen» i Downing Street debuterer i en ny dokumentarfilm, og nei, det er ikke statsministeren.
8. nov 16:17 «Sjefen» i Downing Street debuterer i en ny dokumentarfilm, og nei, det er ikke statsministeren. (NRK 28b)
ANMELDELSE: Maskorama 2025 – sesongpremiere
8. nov 15:52 ANMELDELSE: Maskorama 2025 – sesongpremiere (NRK 28b)
Hun ble utsatt for en rekke overgrep fra en av landets mest profilerte ordførere. Nå forteller hun sin historie.
8. nov 15:42 Hun ble utsatt for en rekke overgrep fra en av landets mest profilerte ordførere. Nå forteller hun sin historie. (NRK 28b)
Det ble fyrverkeri både på tribunen og banen da Fredrikstad senket Sarpsborg 08 lørdag ettermiddag.
8. nov 14:59 Det ble fyrverkeri både på tribunen og banen da Fredrikstad senket Sarpsborg 08 lørdag ettermiddag. (NRK 28b)
Start er klare for Eliteserien etter opprykksdrama og flere knekte gjerder. Spillerne samlet seg i ring ute på banen før de kunne slippe jubelen løs.
8. nov 14:06 Start er klare for Eliteserien etter opprykksdrama og flere knekte gjerder. Spillerne samlet seg i ring ute på banen før de kunne slippe jubelen løs. (NRK 28b)
Politiet har kontroll på omtrent 50 Vålerenga-supportere.
8. nov 14:03 Politiet har kontroll på omtrent 50 Vålerenga-supportere. (NRK 28b)
8. nov 12:50 (NRK 28b)
Lørdag rykket nødetatene ut til flere trafikkulykker i Nordland.
8. nov 12:19 Lørdag rykket nødetatene ut til flere trafikkulykker i Nordland. (NRK 28b)
Fleire ungdommar har blitt sendt til Ahus etter ein russefest, skriv Romerikes Blad. Det skal vere mistanke om kullosforgifting. – Det vi veit, er at det var eit arrangement i Lørenskog i går, og at eit dieselaggregat kan ha ført til skadeomfanget, seier ordførar Amine Mabel Andresen til avisa. Andresen oppmodar no foreldre til å snakke med ungdommane sine om dei har vore på festen. – Viss nokon merkar symptom, er det særs viktig at dei oppsøker legevakta, seier ho.
8. nov 12:02 Fleire ungdommar har blitt sendt til Ahus etter ein russefest, skriv Romerikes Blad. Det skal vere mistanke om kullosforgifting. – Det vi veit, er at det var eit arrangement i Lørenskog i går, og... (NRK)
Ransofferet i Eidsvoll og den antatte gjerningsmannen som er navngitt, kjenner hverandre, opplyser politiet. Natt til lørdag fikk politiet melding om at en person ble truet med våpen og utsatt for vold på en adresse i romerikskommunen. Diverse verdigjenstander et tatt fra stedet. Offeret fikk lettere skader. Politiet jakter fortsatt på to personer og kjenner navnet på den ene. Operasjonsleder ved Øst politidistrikt opplyser at tilknytningen mellom antatt gjerningsmann og fornærmet tyder på at det ikke dreier seg om tyver på innbruddstokt, og at det ikke er fare for publikum. Politiet ser dermed ingen sammenheng med eldreranet og innbruddene i Oslo fredag. Av hensyn til etterforskningen ønsker de ikke å opplyse om hva slags våpen som er brukt.
8. nov 11:11 Ransofferet i Eidsvoll og den antatte gjerningsmannen som er navngitt, kjenner hverandre, opplyser politiet. Natt til lørdag fikk politiet melding om at en person ble truet med våpen og utsatt for... (NRK)
Nødetatene rykker ut til en bil som har kjørt av veien på E6 Rombaken ved Fagerjorda i Narvik kommune. Bilen ligger på taket. Sjåføren har kommet seg ut av bilen selv og er uskadd. Det er ikke andre involvert i ulykken. Veien er stengt og det er svært glatt på stedet. Ifølge trafikkoperatør Arne Sætermoe hos Vegtrafikksentralen finnes det ikke lokale omkjøringsmuligheter. Bilberger er på vei og politiet har ikke mistanke om ruspåvirket kjøring. Sjåføren er avhørt og det er oprettet sak. Sætermoe oppfordrer bilister til å kjøre etter forholdene. – Det er fare for glatte partier enkelte plasser, så det bør trafikantene ha i bakhodet når de er ute og kjører. De må ha vinterdekk og være skodd etter forholdene.
8. nov 10:59 Nødetatene rykker ut til en bil som har kjørt av veien på E6 Rombaken ved Fagerjorda i Narvik kommune. Bilen ligger på taket. Sjåføren har kommet seg ut av bilen selv og er uskadd. Det er ikke... (NRK 28b)
Forskjellane på dei kommunale avgiftene har aldri vore større. Småbarnsfar Morten Sortland sparer tusenvis av kroner på å bu i «rett» kommune.
8. nov 10:38 Forskjellane på dei kommunale avgiftene har aldri vore større. Småbarnsfar Morten Sortland sparer tusenvis av kroner på å bu i «rett» kommune. (NRK 28b)
Flere nordmenn og svensker har vært tydelig på at de ikke ønsker russere i OL. Nå langer russerne tilbake i et intervju med NRK og SVT.
8. nov 7:33 Flere nordmenn og svensker har vært tydelig på at de ikke ønsker russere i OL. Nå langer russerne tilbake i et intervju med NRK og SVT. (NRK 28b)
Politiet søker etter to gjerningsmenn etter et væpnet ran på en adresse i Eidsvoll natt til lørdag. Politiet fikk melding om ranet i 4-tiden. En person ble truet med våpen og utsatt for vold. Fornærmede ble kjørt til legevakten med mindre skader, ifølge Øst politidistrikt. Diverse gjenstander er tatt fra stedet. Rett før klokka 8 opplyser politiet at de jakter på to antatte gjerningsmenn, en navngitt og en foreløpig ukjent. Politiet ønsker enn så lenge ikke å si noe mer om hvilken type våpen som er brukt under ranet.
8. nov 4:50 Politiet søker etter to gjerningsmenn etter et væpnet ran på en adresse i Eidsvoll natt til lørdag. Politiet fikk melding om ranet i 4-tiden. En person ble truet med våpen og utsatt for vold.... (NRK)
USAs høyesterett lar Trump-administrasjonen midlertidig holde tilbake matpenger til lavinntektsfamilier og enkeltpersoner som trenger hjelp for å kjøpe mat, melder Reuters. Som en del av den statlige nedstengingen holdes milliarder av dollar tilbake for denne ordningen. Millioner av amerikanere som er avhengige av slike matkuponger i SNAP-programmet.
8. nov 2:26 USAs høyesterett lar Trump-administrasjonen midlertidig holde tilbake matpenger til lavinntektsfamilier og enkeltpersoner som trenger hjelp for å kjøpe mat, melder Reuters. Som en del av den... (NRK 28b)
Natt til laurdag brann det i ei større lagerbygning, i den gamle koffertfabrikken, i Øystese sentrum i Kvam herad. Laurdag morgon vart brannen sløkt. Folk i området fekk beskjed om halde vindauge igjen, og stenge eventuell ventilasjon. Brannvesenet melde på eit tidspunkt at det var opne flammar og mykje røyk frå bygget. Dette tiltrakk seg ein del folk som politiet bad fjerne seg. Lagerbygget er ikkje i bruk i dag, det var ingen som oppheldt seg i bygget.
8. nov 1:36 Natt til laurdag brann det i ei større lagerbygning, i den gamle koffertfabrikken, i Øystese sentrum i Kvam herad. Laurdag morgon vart brannen sløkt. Folk i området fekk beskjed om halde vindauge... (NRK 18b)